Get new listings emailed daily! SIGN UP LOGIN

242 Area Radford Road , Mars Hill, NC 28754

$90,000
  • 242 Area Radford Road , Mars Hill, NC 28754 Main Photo

5 Total Photos [Click to View All]

New to the Market Active
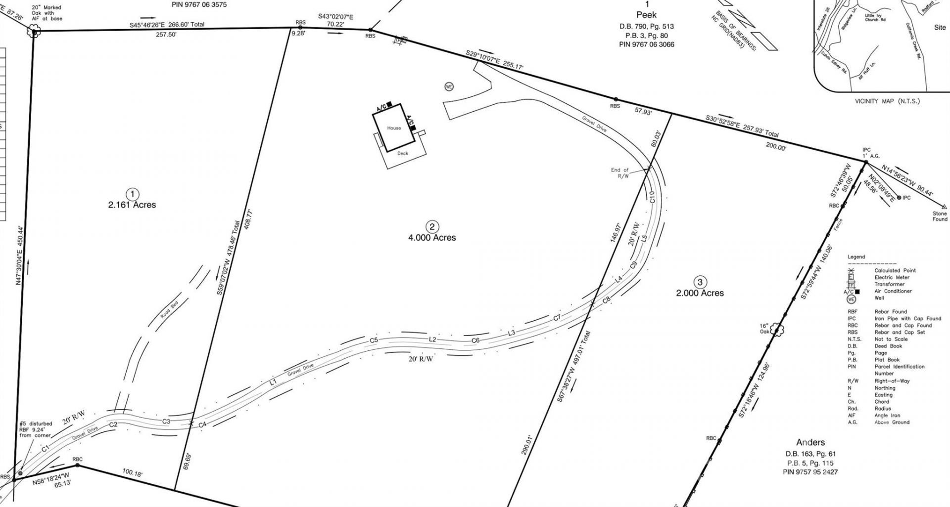
LOT SIZE 2.160 acres MLS#4358127
STATUSActive PROPERTY TYPELand - Residential

Property Description

Veer off California Cr Rd down private Radford Rd stay between two small sheds and meander along flat road next to long grassy meadow and end at seller's gate on left. Lot 1 begins at the gate and sits to the left of the road and Lot 3 further down as road begins to bend left. Lot 1 2.16ac and Lot 3 2.00 acres. Lots of opportunity for privacy, trees and near mountain views. Topography is sloping with near mountain winter views. Great, easy access to I-26, Mars Hill, Hatley Point, Burnsville, Asheville. Seller retaining interior 4.00 acres and selling off side parcels (Lot 1 & 3). Seller to restrict: no mobiles, one house per lot and shared road maintenance.

242 Area Radford Road | MLS# 4358127

This land located at 242 Area Radford Road , Mars Hill, NC 28754 is currently listed for sale with an asking price of $90,000. The property has approximately 2.16 Acres. Search Mars Hill real estate on www.lakenormanvacationrentals.com today.

Property Features

Property Type: Land - Residential
Fenced: Yes
Lot Size: 2.16 Acres

Feature Descriptions

Lot: Private, Sloped, Wooded, Views
Lot Dimensions: 2.16
Parcel#: 9757-96-4147 (portion of)
Sewer: Septic Needed
Special View Info: Winter
Utilities: Cable Available, Fiber Optics, Underground Power Lines, Other - See Remarks
Water: Well Needed

Local Schools

High School: Madison
Middle School: Madison
Elementary School: Mars Hill

Listed By / Shown By

Listed By

Agency Name: Weaverville Realty
Agency Contact: caward@weavervillerealty.net

Shown By

Agency Title: Lake Norman Realty
Agency Phone: 704-450-1175

IDX logo

Estimate Your Payment

Estimated Payment

$ 505.27 per month $479.02 Principal & Interest $0.00 Property Tax (data not provided by mls) $26.25 Homeowner's Insurance

Change Payment Information

%
years/fixed
yearly
yearly (est.)
(Payments are an estimate and may vary by lender)

Login to My Homefinder

Register to View this Listing

Why Create an Account?

If you're searching for your next home, or just curious about the market there is no better tool to help you quickly find homes that meet your needs and wants.

With an account you can:

  • Save your favorite listings
  • Save searches with your important parameters
  • Be emailed about new listings that meet your criteria
  • Be notified of changes to your saved listings such as a price reduction or when a property goes off the market
  • Keep track of homes you have recently viewed

Sign Up Today

At least 6 characters with one uppercase, one lowercase, and one number

Already have an account? Sign in here.

Forgot your password?

Pixel